
So it seems we still aren’t quite sure how galls are created. Something irritates a plant; the plant responds by creating a unique growth. The hundreds of species of tiny gall wasps are the best known gall-forcers, but other insects (aphids, mites, others) and some microbial forms do it, too.
But let’s stick with the tiny gall wasps. (This is a simplistic description, go here for more detail.) They lay an egg on the plant’s leaf or stem. The plant responds by growing around the egg or larva which digs into the plant. Each resulting growth, or gall, is unique to the species of gall-making agent that initiates it. It’s a chemical process, a benign hijacking of the plant’s growth. The sphere on the oak above is sort of a highly modified leaf. The insect larva within is protected by this structure from hungry predators (but parasites can still get in). The gall is also food for the larva. The plant doesn’t seem to be harmed. The wasp emerges from the gall to start all over again, sometimes with an intervening stage elsewhere on the same tree.
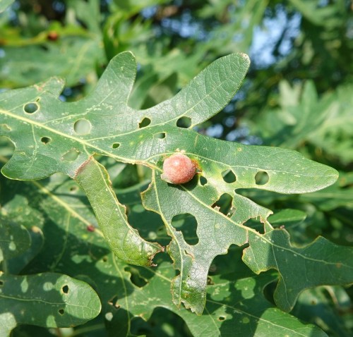
Here are all my posts on galls over the years. All the galls in this post are on white oaks. Oaks and galls are a time-honored combination. In North America, 800 gall wasp species are associated with oak trees. The first two pictures are of a beautiful spherical gall on a big shaggy specimen. The rest of these examples were found on a much younger tree.
In this case, they’d fallen out of the tree.
The only ones I can identify for certain are the Hedgehog Galls, made by the Hedgehog Gall Wasp.
But is this red one a new Hedgehog or something all together different?
***
“The level of disconnection from nature seemed independent of where children lived.” A new study suggests rural and urban American kids get all their nature information from TV, the internet, and those moronic computer games, and they are not the better for it. (Surprise!) Please share your love of the wild — including galls — with your children and grandchildren, nieces, nephews, etc. They’re not going to get it anywhere else.
Leave a comment