








Starting out from Brooklyn, an amateur naturalist explores our world.
As John Burroughs said, “The place to observe nature is where you are.”









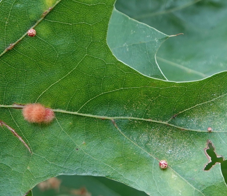
I really appreciate your gall posts! That’s how I originally found your posts and website, maybe 10 years ago
Keep up the awesome naturalist work you do and many thanks!
Is there some unknown symbiosis between the gall and the plant? Pure parasitism seems so unfair. Chuck McAlexander (Nothing showed up below the photos)
Sent via the AT&T TREK™ 2 HD a 4G LTE tablet
The plant contains the insect, segregating and containing the herbivory, so in this sense there does seem to be some mutual benefit going on.
Leave a comment