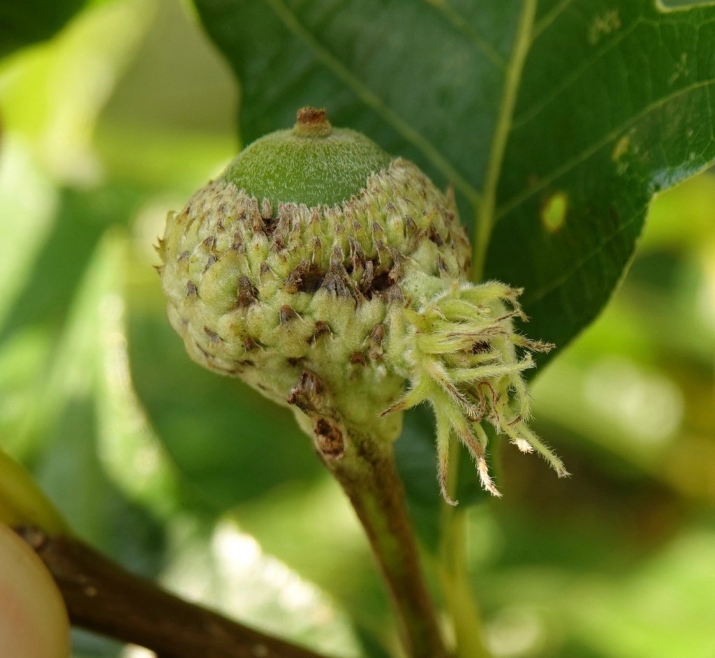
Andricus incertus on swamp white oak (Q. bicolor) acorn. (All the below are on various swamp white oaks as well.)
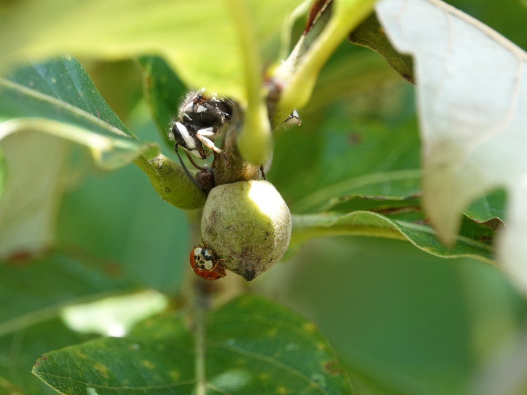
A cluster of Oak Rough Bulletgall Wasp galls (Disholcaspis quercusmamma). Note the ants and bee.
Bald-faced Hornet and Asian Lady Beetle, too. In fact, I found several with lady beetles on them. Are the galls extruding something sweet to eat?

This one is out of the ordinary, if any of these extraordinary gall structures can be called ordinary. Andricus quercusstrobilanus. (You’ll be noticing a number of these things don’t have common names.)

Oak Rosette Gall Wasp (Andricus quercusfrondosus).
And fresh versions of the same.
Even More Galls!
One response to “Even More Galls!”
-
Your fantastic photos are great at sharing the details up close. Thank you so much for doing that! It’s wonderful to see what you uncover and describe up close.
Leave a comment