Backyard and Beyond

Starting out from Brooklyn, an amateur naturalist explores our world.

As John Burroughs said, “The place to observe nature is where you are.”

More Galls

This is Andricus capillatus, a Cynipidae gall wasp like all these specimens today, on a white oak.
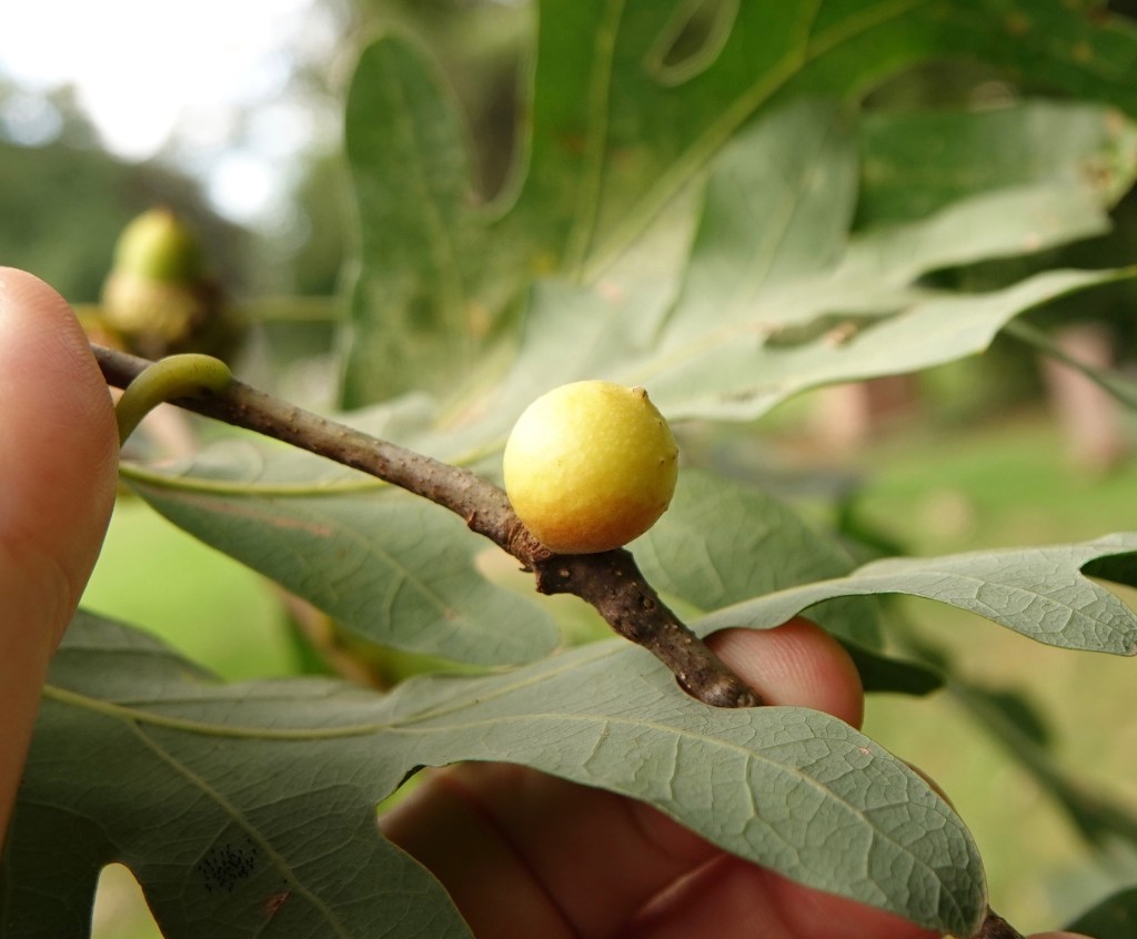
Round Bullet Gall (Disholcaspis quercusglobulus), on the same white oak. This magnificent specimen of a tree is on a slope, with one branch sweeping down below eye-level, which is essential when searching for these things.
Here’s another Round Bullet Gall, from a previous year (and again, the same white oak). These are quite woody and persistent. Notice the exit hole. The wasp cut its way out.
Inside is the cocoon.
The empty cocoon. The wasp had to get out of here before cutting through the gall structure.
Millimeter scale.
Acraspis pezomachoides, same tree. Pea-sized.

Remember, the tree itself forms these galls in response to the irritation of the wasp. What fascinates me is how each species of wasp forces a characteristically differently-shaped gall.

Leave a comment