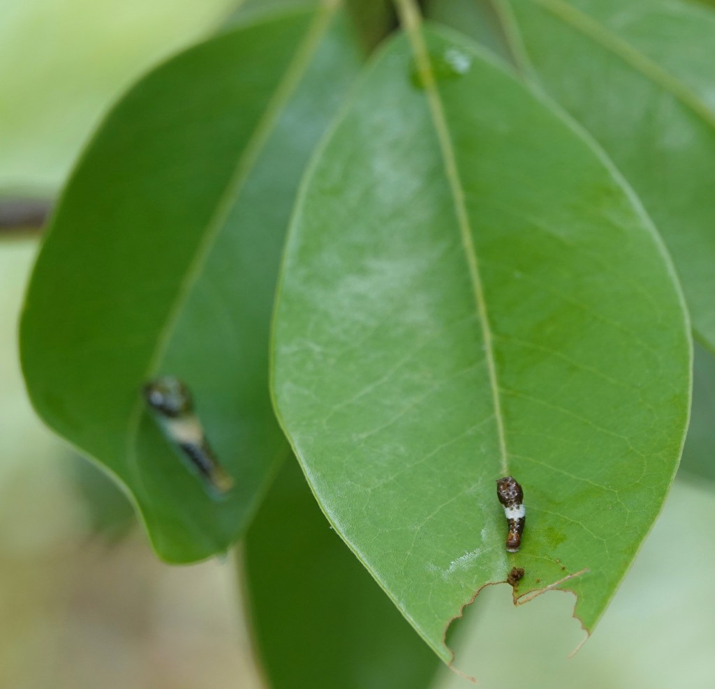
A couple of caterpillars of the Eastern Tiger Swallowtail butterfly.
When they are in their early stages or instars, they look a bit like bird turds.
But when you look closer, your larger-than-average predator brain will note some curiosities. The “eyes” are fake, by the way.(Some caterpillars pretend to be twigs…)

As they get older, the caterpillars get greener, blending into the leaves.

The final instar looks like a cigar stub! I haven’t seen one of these lately, but some years ago I met one on the sidewalk.
There photographs were taken over a period of a week and half, all on the same sweetbay magnolia. Not sure how many individuals these represent. I never saw more than two at a time, but there were a lot of leaves out of eye-sight.
Leave a comment